خارجيات  
نسخ الرابط
 
   
   
 
  A A A A A
X
dot4line

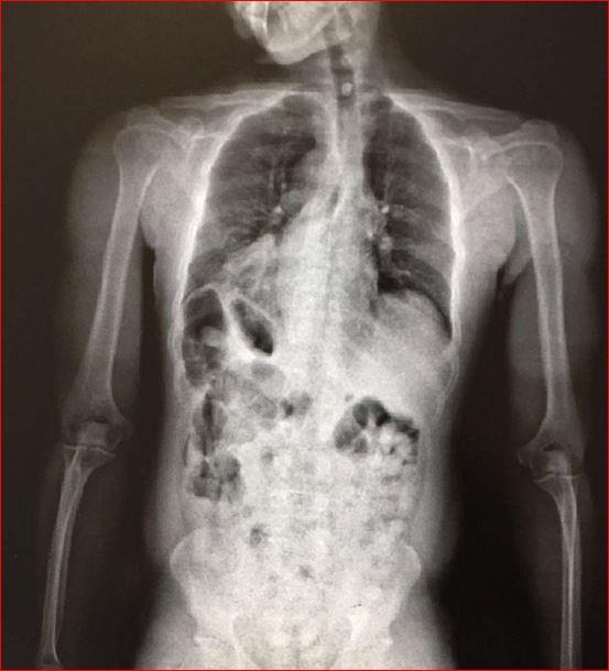
بالصور - السعودية: مسافر يهرّب كيلو كوكايين في أحشائه

2016/05/01   05:12 م

شكرا لتصويت

التقيم التقيم الحالي 5/0
بالصور - السعودية: مسافر يهرّب كيلو كوكايين في أحشائه



تمكّن جمرك مطار الأمير محمد بن عبدالعزيز في المدينة المنورة في المملكة العربية السعودية، من إحباط تهريب كمية من "الكوكايين" بلغت 936.9 غراماً، عُثر عليها مُخبأة في أحشاء أحد الركاب القادمين إلى المملكة عبر المطار. 

وأوضح مدير عام جمرك المطار فيصل الدباغ، أنه عند إنهاء الإجراءات الجمركية لركاب إحدى الرحلات القادمة، اشتبه المراقب الجمركي بأحد الركاب وعلى الفور تم التأكد من حالة الاشتباه وذلك بإحالة الراكب لجهاز فحص الأحشاء بالأشعة، وبالفعل عُثر بداخل أحشاء هذا الراكب على 83 كبسولة صغيرة الحجم تحتوي بداخلها على تلك الكمية من مادة "الكوكائين".

وأفاد الدباغ أنه جرى بعد ذلك اتخاذ الإجراءات اللازمة حيال ذلك، مؤكداً في الوقت نفسه أن الجمارك السعودية تبذل أقصى جهودها في سبيل منع كل ما من شأنه الإضرار بالوطن والمواطن، مبيناً أن الجمارك سعت من أجل ذلك إلى توفير الإمكانات كافة من الكوادر البشرية المؤهلة والتقنية الحديثة، ما أسهم في تحقيق الجمارك للعديد من النجاحات في مجال مكافحة التهريب بجميع أنواعه.

 
 


المزيد من الصورdot4line


أخبار ذات صلة dot4line
التعليقات الأخيرة
dot4line
 

!function(d, s, id) { var js, fjs = d.getElementsByTagName(s)[0], p = /^http:/.test(d.location) ? 'http' : 'https'; if (!d.getElementById(id)) { js = d.createElement(s); js.id = id; js.src = p + "://platform.twitter.com/widgets.js"; fjs.parentNode.insertBefore(js, fjs); } } (document, "script", "twitter-wjs");
82.0611
 
 
 
إعلن معنا
موقع الوطن الإلكترونية – حقوق الطبع والنشر محفوظة
 
Top